贵阳筑城广场文化街区规划出炉 主打超2.7万平米全地下商业

中讯社2025-11-25

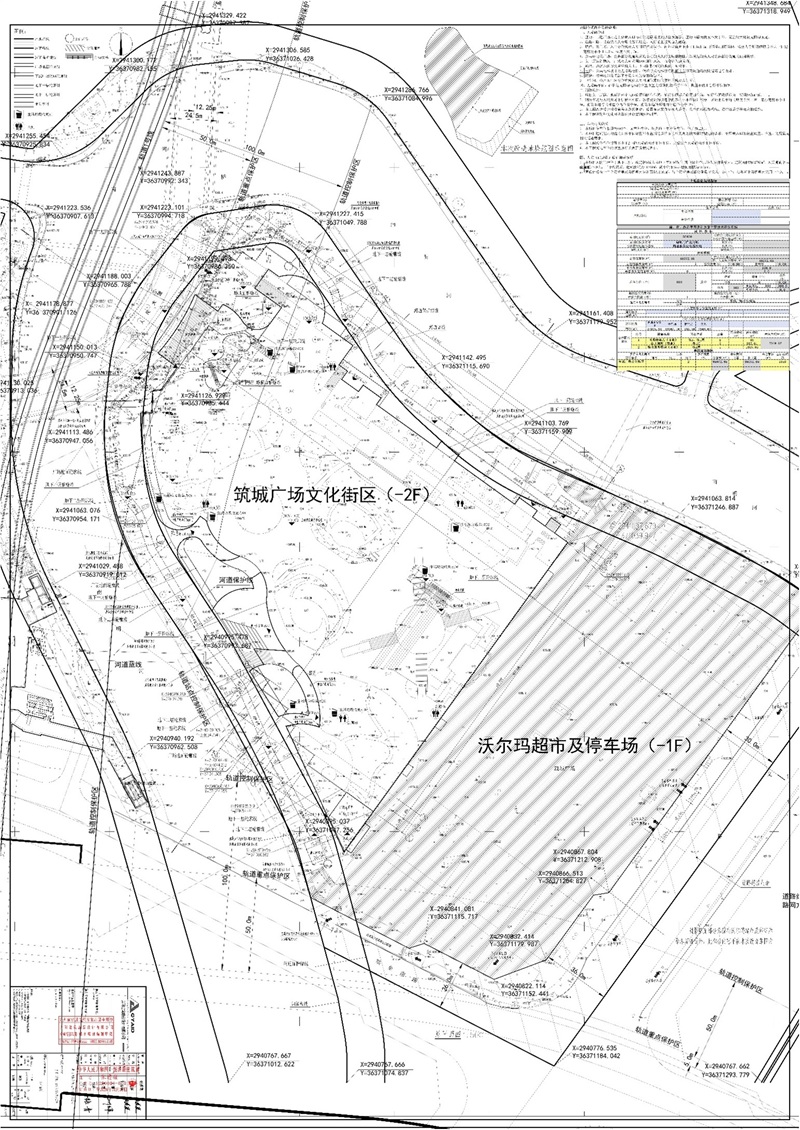
11月25日,据贵阳市自然资源和规划局消息,其发布关于贵阳市筑城广场文化街区改造工程项目规划设计方案批前公示。

图片1.jpg

公示显示,贵阳市越涧商业管理有限公司申报审查的贵阳市筑城广场文化街区改造项目总建筑面积65072.65平方米,其中车库33967.16平方米,全地下商业27825.31平方米,架空层930.56平方米,商业配套2349.62平方米(其中物业服务用房1927.01平方米,公共厕所342.61平方米,垃圾收集点80平方米),停车位803个。


责任编辑:李霞

冷空气活动频繁气温起伏大 华北东北雨雪将发展

2025-11-25

首批“月壤砖”完成太空实验 状态良好

2025-11-25

感冒就吃消炎药?流行期还能接种疫苗?这份流感科学防护指南请收好

2025-11-25

“新”字突出!各地不断打造人才培养新生态 激发高质量发展新动能

2025-11-25

“冰雪+”跨界融合激活冬日文旅热 “冷”资源点燃经济“热”引擎

2025-11-25

261人受害 韩国网络性剥削大案主犯被判终身监禁

2025-11-25

马来西亚计划禁止16岁以下人群使用社交媒体

2025-11-25

TVB台慶頒獎禮提名公布 佘詩曼宣萱爭視后

2025-11-25

2025-11-25

直播|立法會「愛國者同心治港」選舉論壇(功能界別進出口界)

2025-11-25

強積金總資產9月底達1.53萬億元 逾1成投資懶人基金

2025-11-25

银行撒年终“醒户”红包 个人养老金竞争从“留心”到“留薪”

2025-11-25

人民银行连续第九个月加量续作MLF

2025-11-25

1个月期国库现金定存利率降至1.73%

2025-11-25

贵州省人民政府:同意组建贵州农商联合银行董事会、经营层班子

2025-11-25

持续喷发中的印尼塞梅鲁火山

2025-11-25

韩国第二大在野党选出新党首

2025-11-25

日本前首相接连批评高市早苗错误言论

2025-11-25

韩国济州市一辆商务车冲撞人群致1死9伤

2025-11-25

外交部:越南台风洪涝灾害中暂无中国公民伤亡

2025-11-25

日本东京发生车辆冲撞行人事件致11人死伤

2025-11-25

驻韩美军一无人机在韩附近海域坠毁

2025-11-25

外交部回应日方将在与中国台湾邻近的西南诸岛部署进攻性武器:动向极其危险,国际社会需高度警惕

2025-11-25

外交部:日方所谓“一贯立场”的具体内容到底是什么?

2025-11-25

韩国总统说必须耐心持续推动重启韩朝对话

2025-11-25

马来西亚计划禁止16岁以下人群使用社交媒体

2025-11-25

261人受害 韩国网络性剥削大案主犯被判终身监禁

2025-11-25

广汽集团全固态电池中试产线正式建成投产

2025-11-25

短道速滑世巡赛格但斯克站中国队男子接力夺银

2025-11-25

男冰亚锦赛在京落幕 哈萨克斯坦队夺冠

2025-11-25

意甲综合:普利希奇建功 AC米兰赢下同城“德比”

2025-11-25

十五运会和残特奥会香港赛区志愿者规模创纪录

2025-11-25

21亿扫货常山药业,神秘私募元素基金玩转“低买高卖”资本游戏

2025-11-25

新产品、新渠道驱动,中国旺旺上半财年营收111.08亿

2025-11-25

白冰冰否认杨宗纬是恶邻:他其实很低调也很客气

2025-11-25

前经纪人回应小虎队合体:重站同一舞台并非不可能

2025-11-25